Tiempo de lectura: < 1 minuto
Portada: Conagua
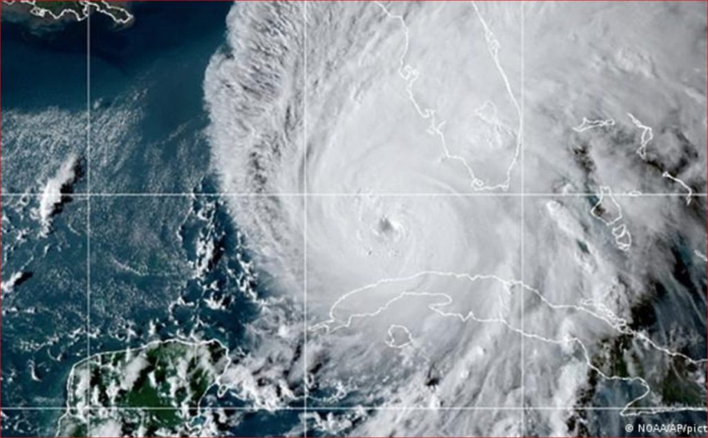
(29 DE SEPTIEMBRE, 2022).- Debido al huracán Ian, de categoría 4, que tocó tierra cerca de Cayo Costa, en el sureste de Florida, Estados Unidos, la Secretaría de Relaciones Exteriores aconsejó a las personas mexicanas en la zona mantener atención a los comunicados emitidos por las autoridades locales y nuestras representaciones consulares en Miami y Orlando, a fin de contar con la información necesaria y observar las medidas necesarias para evitar daños y afectaciones personales.
Reiteró los teléfonos de emergencia de los consulados de México en Miami y en Orlando, asi como del Centro de Información y Asistencia a Mexicanos CIAM:
Miami +1 (305) 979 1534
Orlando +1 (407) 409 4209
CIAM +1 (520) 623 7874
En tanto, por instrucciones del canciller Marcelo Ebrard Casaubon, la directora general de Protección Consular y Planeación Estratégica de la Secretaría de Relaciones Exteriores (SRE), Vanessa Calva Ruiz, realizó una visita de trabajo a San Diego, Santa Ana y Los Ángeles, California, del 22 al 27 de septiembre. El objetivo fue reforzar los lazos de colaboración con autoridades estadounidenses y agrupaciones estratégicas que brindan apoyo a los más de once millones de personas de origen mexicano que viven en ese estado.
CONOCE MÁS:
Se reanudan diálogo para el retorno de los habitantes de Tierra Blanca, Copala
#Sonora #Expresion-Sonora.com
Tomado de https://elchamuco.com.mx/




Más historias
Buscan aprovechar el sargazo en vez de considerarlo problema ambiental
Gilberto Bátiz asume la presidencia del TEPJF
Lotería Nacional celebra 80 años de la Sociedad de Autores y Compositores con un billete conmemorativo (+video)