noviembre 8, 2025

Otis: Revelan video de cómo evolucionó el huracán a categoría 5

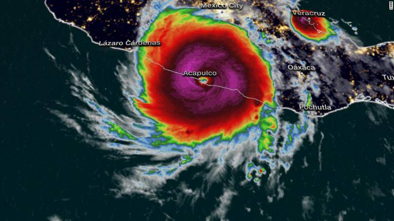
Es la primera ocasión que un huracán categoría 5 como “Otis” choca contra las costas del Pacífico y su crecimiento fue en cuestión de horas.  

RegeneraciónMx, 25 de octubre de 2023. En un lapso de poco más de 24 horas, “Otis” comenzó a incrementar su fuerza y se convirtió en huracán categoría 5, la más alta.

Y es que, el lunes por la tarde se emitió la alerta en Acapulco y otras zonas costeras de Guerrero que serían afectadas.

El director del Centro Nacional de Huracanes, Michael Brennan, declaró a CNN que la previsión se situaba “en el lado alto de casi todas las orientaciones sobre intensidad”.

En un principio no se pronosticaba que “Otis” se convirtiera rápidamente en un huracán de esa magnitud; sin embargo, durante el martes la tormenta se desplazó por aguas cálidas cerca de la costa.

.u06525ba2f745fbb7549950041fa0baeb , .u06525ba2f745fbb7549950041fa0baeb .postImageUrl , .u06525ba2f745fbb7549950041fa0baeb .centered-text-area { min-height: 80px; position: relative; } .u06525ba2f745fbb7549950041fa0baeb , .u06525ba2f745fbb7549950041fa0baeb:hover , .u06525ba2f745fbb7549950041fa0baeb:visited , .u06525ba2f745fbb7549950041fa0baeb:active { border:0!important; } .u06525ba2f745fbb7549950041fa0baeb .clearfix:after { content: «»; display: table; clear: both; } .u06525ba2f745fbb7549950041fa0baeb { display: block; transition: background-color 250ms; webkit-transition: background-color 250ms; width: 100%; opacity: 0.99; transition: opacity 250ms; webkit-transition: opacity 250ms; background-color: #C0392B; box-shadow: 0 1px 2px rgba(0, 0, 0, 0.17); -moz-box-shadow: 0 1px 2px rgba(0, 0, 0, 0.17); -o-box-shadow: 0 1px 2px rgba(0, 0, 0, 0.17); -webkit-box-shadow: 0 1px 2px rgba(0, 0, 0, 0.17); } .u06525ba2f745fbb7549950041fa0baeb:active , .u06525ba2f745fbb7549950041fa0baeb:hover { opacity: 1; transition: opacity 250ms; webkit-transition: opacity 250ms; background-color: #E74C3C; } .u06525ba2f745fbb7549950041fa0baeb .centered-text-area { width: 100%; position: relative; } .u06525ba2f745fbb7549950041fa0baeb .ctaText { border-bottom: 0 solid #fff; color: #ECF0F1; font-size: 16px; font-weight: bold; margin: 0; padding: 0; text-decoration: underline; } .u06525ba2f745fbb7549950041fa0baeb .postTitle { color: #ECF0F1; font-size: 16px; font-weight: 600; margin: 0; padding: 0; width: 100%; } .u06525ba2f745fbb7549950041fa0baeb .ctaButton { background-color: #E74C3C!important; color: #ECF0F1; border: none; border-radius: 3px; box-shadow: none; font-size: 14px; font-weight: bold; line-height: 26px; moz-border-radius: 3px; text-align: center; text-decoration: none; text-shadow: none; width: 80px; min-height: 80px; background: url(https://regeneracion.mx/wp-content/plugins/intelly-related-posts/assets/images/simple-arrow.png)no-repeat; position: absolute; right: 0; top: 0; } .u06525ba2f745fbb7549950041fa0baeb:hover .ctaButton { background-color: #C0392B!important; } .u06525ba2f745fbb7549950041fa0baeb .centered-text { display: table; height: 80px; padding-left: 18px; top: 0; } .u06525ba2f745fbb7549950041fa0baeb .u06525ba2f745fbb7549950041fa0baeb-content { display: table-cell; margin: 0; padding: 0; padding-right: 108px; position: relative; vertical-align: middle; width: 100%; } .u06525ba2f745fbb7549950041fa0baeb:after { content: «»; display: block; clear: both; }

LEER MÁS:  Por industrias ligadas al litio crecerá consumo de cobre: AMLO

“No siempre tenemos la mejor imagen completa de lo que está pasando debajo de la capa de nubes que se ve en las imágenes de satélite”, indicó Brennan.

Por lo que, los científicos señalan que “Otis” es la consecuencia de la crisis climática que se vive actualmente.

Y es que, los aviones caza tormentas confirmaron que “Otis” estaba comenzando a intensificarse rápidamente y el pronóstico de la tormenta también cambio.

El martes a las 3:00 horas se indicó la aparición de un huracán y se señala que hay “alrededor de 1 en 4 posibilidades de fortalecimiento rápido durante las próximas 24 horas”.

.u6c838eb1457f19a79b4363ce7f16de58 , .u6c838eb1457f19a79b4363ce7f16de58 .postImageUrl , .u6c838eb1457f19a79b4363ce7f16de58 .centered-text-area { min-height: 80px; position: relative; } .u6c838eb1457f19a79b4363ce7f16de58 , .u6c838eb1457f19a79b4363ce7f16de58:hover , .u6c838eb1457f19a79b4363ce7f16de58:visited , .u6c838eb1457f19a79b4363ce7f16de58:active { border:0!important; } .u6c838eb1457f19a79b4363ce7f16de58 .clearfix:after { content: «»; display: table; clear: both; } .u6c838eb1457f19a79b4363ce7f16de58 { display: block; transition: background-color 250ms; webkit-transition: background-color 250ms; width: 100%; opacity: 0.99; transition: opacity 250ms; webkit-transition: opacity 250ms; background-color: #C0392B; box-shadow: 0 1px 2px rgba(0, 0, 0, 0.17); -moz-box-shadow: 0 1px 2px rgba(0, 0, 0, 0.17); -o-box-shadow: 0 1px 2px rgba(0, 0, 0, 0.17); -webkit-box-shadow: 0 1px 2px rgba(0, 0, 0, 0.17); } .u6c838eb1457f19a79b4363ce7f16de58:active , .u6c838eb1457f19a79b4363ce7f16de58:hover { opacity: 1; transition: opacity 250ms; webkit-transition: opacity 250ms; background-color: #E74C3C; } .u6c838eb1457f19a79b4363ce7f16de58 .centered-text-area { width: 100%; position: relative; } .u6c838eb1457f19a79b4363ce7f16de58 .ctaText { border-bottom: 0 solid #fff; color: #ECF0F1; font-size: 16px; font-weight: bold; margin: 0; padding: 0; text-decoration: underline; } .u6c838eb1457f19a79b4363ce7f16de58 .postTitle { color: #ECF0F1; font-size: 16px; font-weight: 600; margin: 0; padding: 0; width: 100%; } .u6c838eb1457f19a79b4363ce7f16de58 .ctaButton { background-color: #E74C3C!important; color: #ECF0F1; border: none; border-radius: 3px; box-shadow: none; font-size: 14px; font-weight: bold; line-height: 26px; moz-border-radius: 3px; text-align: center; text-decoration: none; text-shadow: none; width: 80px; min-height: 80px; background: url(https://regeneracion.mx/wp-content/plugins/intelly-related-posts/assets/images/simple-arrow.png)no-repeat; position: absolute; right: 0; top: 0; } .u6c838eb1457f19a79b4363ce7f16de58:hover .ctaButton { background-color: #C0392B!important; } .u6c838eb1457f19a79b4363ce7f16de58 .centered-text { display: table; height: 80px; padding-left: 18px; top: 0; } .u6c838eb1457f19a79b4363ce7f16de58 .u6c838eb1457f19a79b4363ce7f16de58-content { display: table-cell; margin: 0; padding: 0; padding-right: 108px; position: relative; vertical-align: middle; width: 100%; } .u6c838eb1457f19a79b4363ce7f16de58:after { content: «»; display: block; clear: both; }

LEER MÁS:  Guerrero se queda sin luz ni internet tras paso de “Otis”; reportan rapiña en distintos puntos

Para el miércoles a las 12:25 a.m. “Otis” tocó tierra como un huracán de categoría 5, con vientos superiores a los 265 km/h.

De acuerdo con la información en la base de datos de huracanes de NOAA, no se tiene registro que un huracán haya tocado costas del Pacífico oriental.

Síguenos en Google Noticias para mantenerte siempre informado

Tomado de https://regeneracion.mx/mexico/